Xuthodes batesi

Taxonavigation

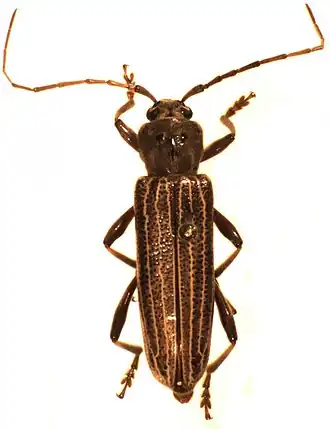
Xuthodes batesi (female), length about 20 mm
Taxonavigation: Chrysomeloidea 

Superregnum: Eukaryota
Cladus: Unikonta
Cladus: Opisthokonta
Cladus: Holozoa
Regnum: Animalia
Subregnum: Eumetazoa
Cladus: ParaHoxozoa
Cladus: Bilateria
Cladus: Nephrozoa
Cladus: Protostomia
Cladus: Ecdysozoa
Cladus: Panarthropoda
Phylum: Arthropoda
Cladus: Mandibulata
Cladus: Pancrustacea
Cladus: Allotriocarida
Subphylum: Hexapoda
Classis: Insecta
Cladus: Dicondylia
Subclassis: Pterygota
Infraclassis: Neoptera
Cladus: Eumetabola
Cladus: Holometabola
Superordo: Coleopterida
Ordo: Coleoptera
Subordo: Polyphaga
Infraordo: Cucujiformia
Cladus: Phytophaga
Superfamilia: Chrysomeloidea

Familia: Cerambycidae
Subfamilia: Cerambycinae
Tribus: Hesperophanini
Genus: Xuthodes
Species: Xuthodes batesi

Name

Synonyms

References