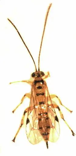
Xanthopimpla rhopaloceros

Taxonavigation
| Taxonavigation: Ichneumonoidea |
|---|
|
Superregnum: Eukaryota |
Familia: Ichneumonidae
Subfamilia: Pimplinae
Tribus: Pimplini
Genus: Xanthopimpla
Species: Xanthopimpla rhopaloceros
Name
Xanthopimpla rhopaloceros Krieger, 1914
References
Additional references
- Mansfield, S.; Kriticos, D.J.; Potter, K.J.B.; Watson, M.C. 2005: Parasitism of gum leaf skeletoniser (Uraba lugens) in New Zealand. New Zealand plant protection, 58: 191–196. PDF