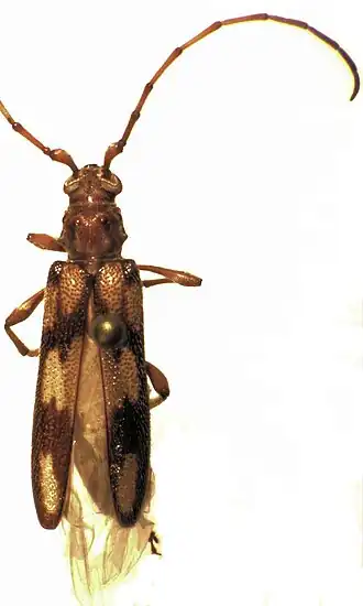
Eburida picta

Taxonavigation
| Taxonavigation: Chrysomeloidea |
|---|
|
Superregnum: Eukaryota |
Familia: Cerambycidae
Subfamilia: Cerambycinae
Genus: Eburida
Species: Eburida picta
Name
Eburida picta (Bates, 1874)
Synonyms
- Didymocantha picta Bates, 1874
- Eburida picta (Bates, 1874)
- Didymocantha robusta Sharp, 1882
- Didymocantha cognata Broun, 1910
References
cited sources
- Bates, H.W. 1874: On the longicorn Coleoptera of New Zealand. Annals and magazine of natural history (4), 14: 16–24, 118-131. Internet Archive BHL
- Broun, T. 1910: Descriptions of new genera and species of Coleoptera. New Zealand Institute bulletin, (1): 1–78. Internet Archive BHL BUGZ
- Sharp, D. 1882: On some New Zealand Coleoptera. Transactions of the Entomological Society of London, 1882: 73–99. Internet Archive BHL