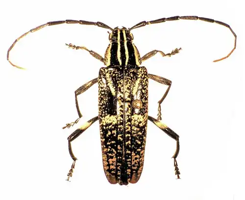
Coptomma

Taxonavigation
| Taxonavigation: Chrysomeloidea |
|---|
|
Superregnum: Eukaryota |
Familia: Cerambycidae
Subfamilia: Cerambycinae
Tribus: Coptommatini
Genus: Coptomma
Species: C. variegatum
Name
- Type species: Coptomma virgatum Newman, 1840 [= Callidium variegatum Fabricius, 1775] (designated by Blanchard, 1853: 274)
References
Primary references
- Newman, E. 1840. Nonnullorum Cerambycitum novorum, Novam Hollandiam et Insulam Van Diemen habitantium characteres. Annals and Magazine of Natural History (ser. 1) 5: 14–21. DOI: 10.1080/00222934009496747
. BHL Reference page.
Additional references
- Sopow, S.L. & Bain, J. 2017. A checklist of New Zealand Cerambycidae (Insecta: Coleoptera), excluding Lamiinae. New Zealand Entomologist 40(2): 55–71. DOI: 10.1080/00779962.2017.1357423 Reference page.
- Chevrolat, A. 1851: Notes sur les longicornes de la collection de Banks, la plupart types de Fabricius, rapportes aux genres actuels. Annales de la Société Entomologique de France (2), 9: 659–663. BUGZ
- Hayashi, M. 1961. Cerambycidae from New Caledonia (Col.). Part I. Bulletin of the Osaka Museum of Natural History 13: 7–65. Reference page.
- Song, D. & Wang, Q. 2003. Systematics of the longicorn beetle genus Coptomma Newman (Coleoptera: Cerambycidae: Cerambycinae). Invertebrate systematics 17(3): 429-447. DOI: 10.1071/IT01023 Reference page.
- White, A. 1855. Catalogue of the coleopterous insects in the collection of the British Museum. Longicornia 2. British Museum, London 8: 175–412. BHL Reference page.
Links
- Coptomma – Taxon details on Biological Library (BioLib).
- Tavakilian, G. & Chevillotte, H.: TITAN: Cerambycidae database, accessed 2021-09-10.