In this satellite image of Madrid airport (MAD/LEMD)...

Source:Google maps satellite view
Alternate link from maps.google.nl still renders incorrectly for me, but appears fine for others...
...it appears that there is a very noticeable left kink in the landing area of runway 32/33R.
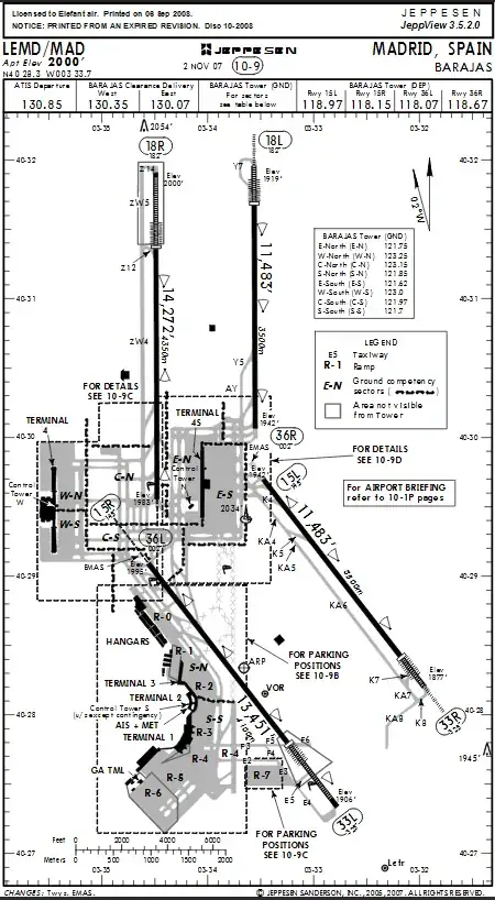
According to what I can interpret from Jeppesen's airport data, there doesn't appear to be any indication of this kink:

Page 50 of Jeppesen hosted by uvairlines.com.
Is that kink actually there, or is it an artifact of Google's processing of different images? There is obviously something going on, as you can see both RWY32 & RWY33 markings in the image, while Jeppesen clearly identifies it as 33.
If that kink is actually there, what impact does that have on a pilot landing? I believe the touchdown target is the two long, solid bars at the top left of the image, which excludes the kink, however, there is enough rubber to indicate that touchdowns have occurred much closer to the threshold than that.



